- Gen Zers have lowest level of church engagement
- Venomous creatures wash ashore in Spain in rare event sending swimmers scurrying from beaches
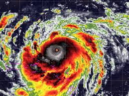
- Erin rapidly intensifies into Cat 5 hurricane heading toward Puerto Rico, and Leeward Islands
- Once popular teens and tweens retailer prepares to close stores during bankruptcy










